Cuerpo
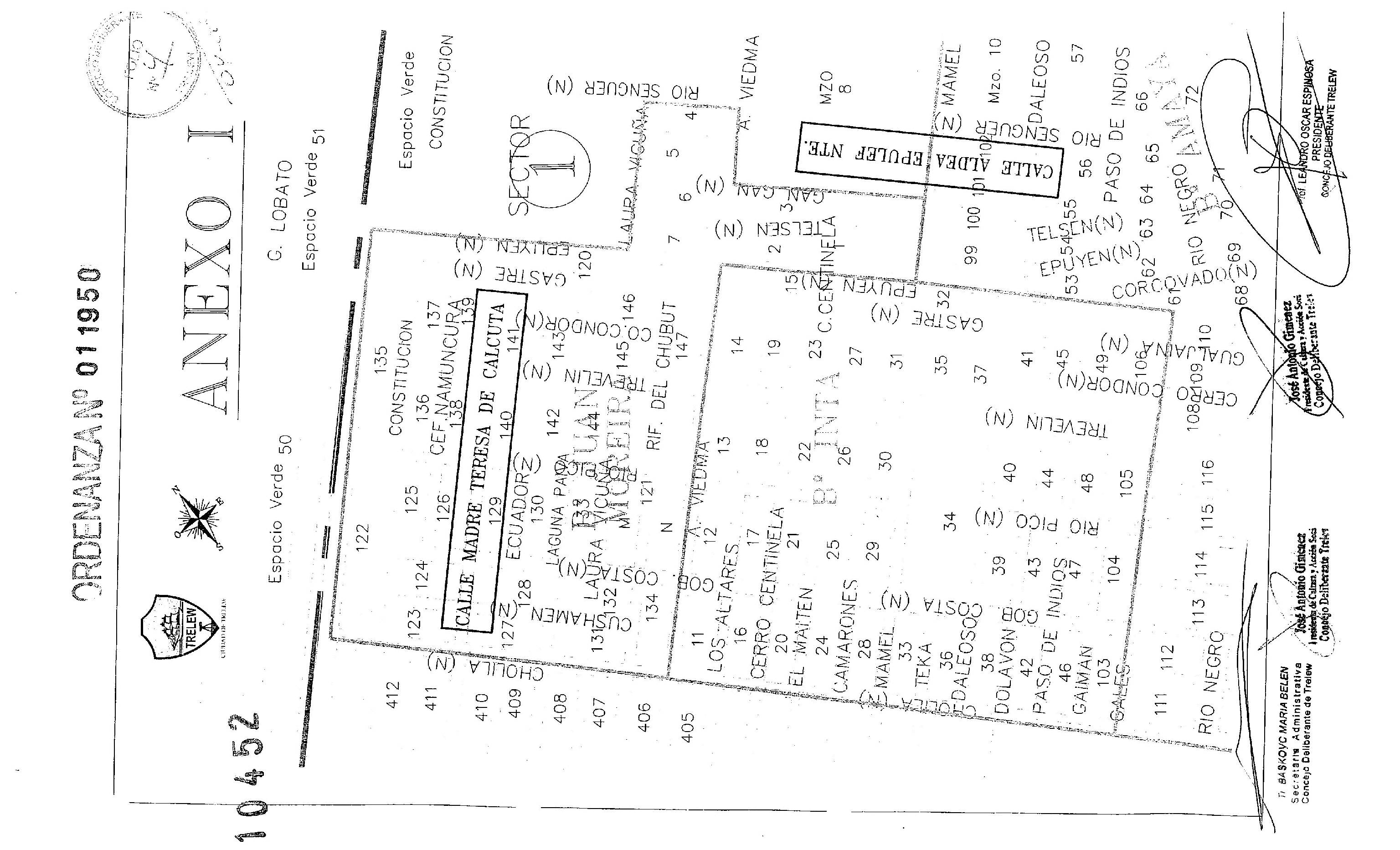
ARTÍCULO 1ro.): DESIGNASE “Madre Teresa De Calcuta”, a la calle y su proyección, ubicada en igual sentido y al sur de la calle Ceferino Namuncura, entre Gastre Norte y Cholila Norte del Barrio Moreira, de acuerdo al Anexo I que forma parte de la presente ordenanza.
ARTÍCULO 2do.): DESIGNASE “ALDEA EPULEF NORTE”, a la calle, y su proyección, ubicada en igual sentido y al Oeste de calle Río Senguer Norte, entre calles P. Daleoso y Mamel del Barrio Amaya, de acuerdo al Anexo I que forma parte de la presente Ordenanza.
