Cuerpo
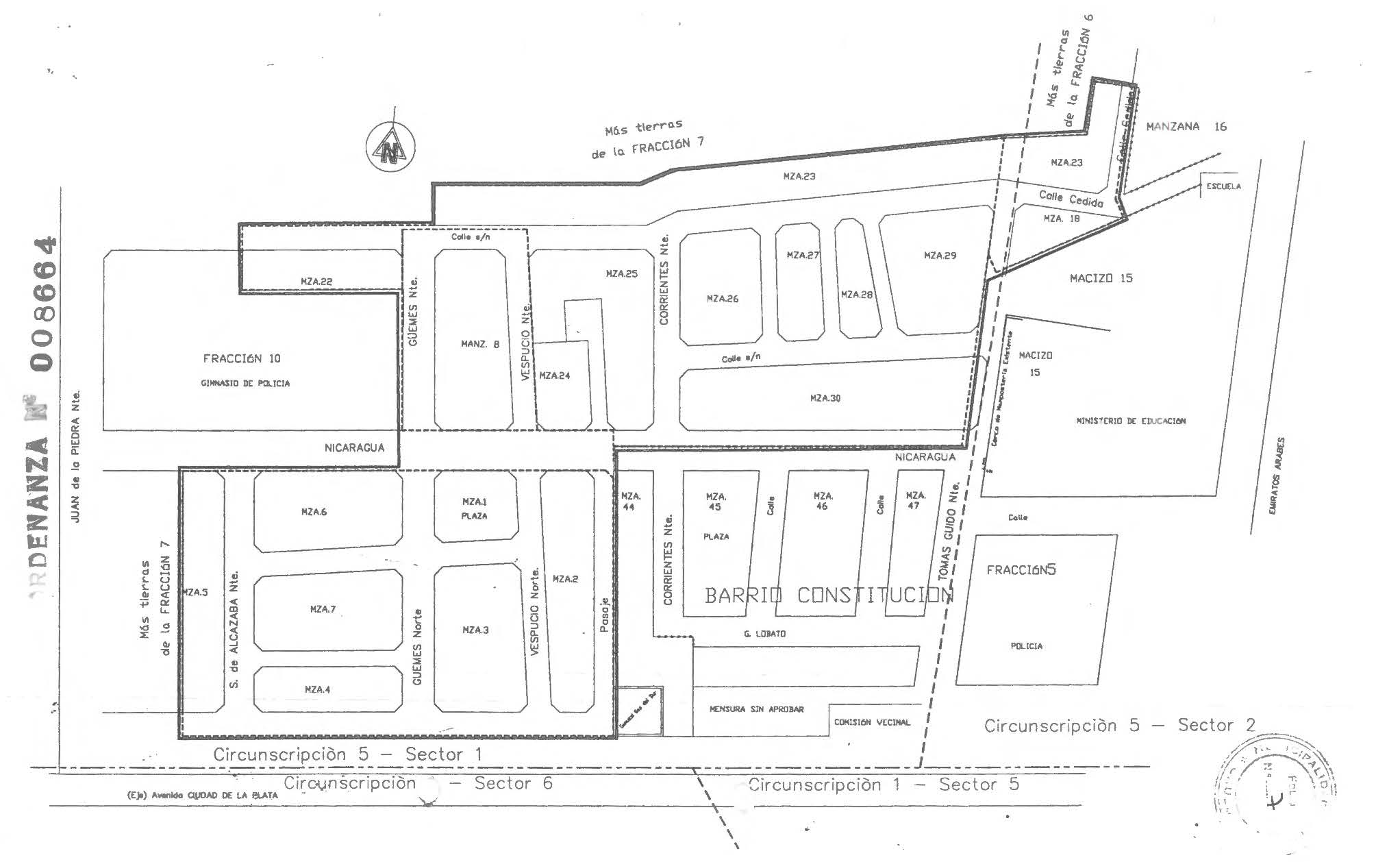
ARTÍCULO 1ro.: Reconózcase la constitución del Barrio “Primera Junta de Gobierno”, fijándose sus límites de acuerdo al siguiente detalle:
Al Norte y Oeste: tierra del Parque Industrial
Al Sur: Avenida La Plata
Al Este: Juan de la Piedra Norte
ARTÍCULO 2do.: Incorporase a la presente Ordenanza, como ANEXO I, el plano con su respectiva jurisdicción.
